- Home
- Government
- Departments
- Utilities
- Utilities Projects
Utilities Projects
All new utility construction projects are posted on the County website as they are approved by Council. Updates will be posted periodically. Notices are mailed to landowners who will be directly affected by construction projects.
Please note, these projects are weather dependent, and the start and end dates for each project is subject to change.
The County is endeavoring to safely maintain local traffic access on this road during these projects. Please be patient during the upgrades. Reduced speeds will be enforced.
Register for Utilities Construction Notifications on the County of Wetaskiwin website at Stay Informed ~ Newsflash ~ County Projects to receive a text message and/or email.
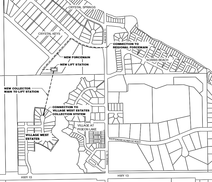
Village West Estates Wastewater
The project involves the installation of a new collection main originating from the north end of Village West Estates to a new Lift Station Site. A new Lift Station will be constructed and will convey wastewater effluent through a new forcemain which will run through Crystal Keys and ultimately connect to the SPLRWC Forcemain on the east side of Range Road 11. Once completed, those residents within Village West Estates will receive a municipal wastewater service.
Project Update:
What’s Happening Now:
- Electrical work is underway, with trenching for cables happening next week.
- Road repairs on Norris Beach Road are complete; line painting will follow soon.
- Fencing is being coordinated so it won’t interfere with the new cabling.
- Manholes have been cleaned and sealed to prevent water from getting in.
- Crews are finishing the last mechanical pieces, including parts for the wet well and grinder manhole.
- The site is being cleaned up and re-graded after the power lines were installed. Extra soil and clay are being managed on-site.
- Planning is underway with all contractors to prepare for system testing.
The project is still on schedule, with final commissioning expected to begin by the end of September.
- Estimated Start date: February 2025
- Estimated completion date: November 2025
- Project Cost: $2,810,000
Winfield Sewage Lagoon Upgrade
The project involves an upgrade to the existing wastewater treatment lagoon that serves the Hamlet of Winfield. The proposed upgrade includes desludging of intake cells and storage cell, the installation of a new subsurface underdrain below the storage cell, a new polythetylene liner installed to the storage cell, and other valves and piping upgrades.
Project Highlights:
- Desludging of lagoon Cells 1, 2, and 3
- Installation of a new subsurface underdrain and a polyethylene liner in the storage cell
- Upgrades to valves and piping for improved efficiency and reliability
What’s Happening Now:
- Crews have set up the site, built the containment area, removed sludge from Cell #1, disposed of the old liner, and installed the transfer structures. Clay removal and subgrade prep are nearly complete
- Work will continue with final grading of the lagoon, anchor trench excavation, new liner installation, reconnection of the cells, and final site cleanup.
- Because of weather delays, this project is now expected to be finished by mid-October 2025.
Why It Matters:
These upgrades will extend the life of the lagoon system and improve wastewater treatment capacity for Winfield residents—helping protect public health and the environment.
- Estimated Start date: June 23, 2025
- Estimated completion date: October 30, 2025
- Project Cost: $2,618,000
Photograph taken August 2025